
Cyclone Yasi hit the Australian coastline today as tens of thousands holed up in shelters to survive the worst storm in the country for generations.
The massive storm crashed into Queensland in the north east this lunchtime, ripping roofs from buildings and cutting power to thousands of homes.
Officials and residents were all taking cover in evacuation shelters or barricaded into their homes and the scale of the natural disaster will not be known until first light.

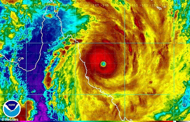
The Bureau of Meteorology said Yasi’s destructive core – which is more than 20miles wide – hit the coast in the resort of Mission Beach.
Dozens of other towns and cities across the region – known to tourists as the gateway to the Great Barrier Reef – were being battered by heavy rain and winds set to reach up to 186mph.
Witnesses reported roofs flying off, buildings shaking and trees being flattened by the gales. Officials say Yasi will cause the sea to surge, causing flooding at low levels.
Queensland premier Anna Bligh said: ‘This is the most serious and destructive cyclone you can have… It’s such a big storm – it’s a monster, killer storm.’
Thousands of panicked residents have fled the main city of Cairns – usually a tourist hotspot – and other surrounding areas along the coast.
The storm compounds misery in Queensland, which has been in the grip of Australia’s worst flooding in decades in which 35 people have been killed.
The last storm of such strength was back in 1918. Miss Bligh said: ‘This impact is likely to be more life threatening than any experienced during recent generations.’




All airports in Queensland have been closed and the Australian army has been put on standby.
Major Richard Green, of the Australian Defence Forces, said: ‘This cyclone is a deadly event – so we expect to be picking up bodies at some stage.’
The state’s deputy police commissioner, Ian Stewart, added: ‘People need to understand that their lives and property is in danger. But it is their lives we are primarily focused upon saving.’
People are taking cover in evacuation shelters or in their own homes, barricaded with mattresses. They were told the bathroom was the safest spot because of the lack of windows.
Yasi is expected to dump an enormous 3ft of rain and, combined with a high tide, the sea will rise some 10ft and cause flooding in low-lying areas.
Satellite tracking has shown a front of around 300miles wide with an eye more than 20miles across. ‘We are looking at a terrible 48 hours,’ said Assistant Police Commissioner Ian Stewart.
Prime Minister Julia Gillard, in a sombre national television address, warned: ‘This is a cyclone of savagery and intensity. People are facing some really dreadful hours in front of them.’
The 150miles between Cairns and the town of Ingham is deemed the most at risk, but warnings stretch as far as Townsville some 190miles away.

Cairns, which is around 1,400miles north of Sydney, has a population of around 165,000 with similar numbers in Townsville. Many smaller communities fall between them.
In Cairns, guests at a waterfront hotel waited in the central ballroom as lights flickered. Staff pinned curtains over windows in danger of shattering and handed out torches.

German tourist Barbara Maskei, 49, lay on the floor under a sheet reading a book while her daughter Annette and husband Peter dozed beside her.
‘I like to keep my eyes open,’ she said as the wind roared outside.
Around 55miles south, in Innisfail, Mayor Bill Shannon said he saw the roof of a building near to a shelter torn off. ‘We’re just hoping and praying we can all get through the night,’ he said.
Nearby in Tully, Ross Sorbello could feel his house shaking. ‘The wind and rain outside are howling – it’s a horrible sound,’ he said.
State officials have been telling people for days to stock up on bottled water and food and prepare their homes by boarding or taping up windows.
Anyone on low-lying or poorly protected areas have been told to move in with family or friends on safe ground or go to evacuation centres.
More than 10,000 are sheltering in 20 evacuation centres where people were camped out in corridors with whatever belongings they were able to carry.
Earlier today, police told people in Cairns to get off the streets. “Everyone’s gotta go now,” one officer told pedestrians near the waterfront. “The water is coming now.’
Jane Alcom, who planned to sit out the storm by sheltering in the garage of her apartment complex, insisted there would be no panic.
‘There’s no crying, no hysterics,’ said Alcorn, 42. ‘It’s going to be loud, it’s going to be scary. But we’ve got each other.’
Car dealer Greg McNaught hurriedly moved computers and other electronics from the ground floor of his business to his apartment upstairs as his friend Chris Hincksman plastered strips of tape over the large storefront windows.
‘We’re just going to stay here and drink beer,’ he said, although he admitted to being slightly worried. ‘Maybe if I’ve had enough of this, it won’t matter.’

Carla Jenkins, 23, threw her belongings into a suitcase, taped up the windows of her house and fled to her grandmother’s sturdier apartment complex with her sister and her dog, Elmo.
She had a stash of candles, flashlights, water and tinned food, and planned to spend the night huddled in the bathroom away from the windows.
‘I can’t see many Cairns people sleeping tonight,’ she said. ‘Tonight’s going to be a very scary night.’
State disaster coordinator Ian Stewart advised people to move to the centre of their homes, usually the bathroom, as they are structurally safest and usually have no windows.
Residents are being told to bring mattresses and other items to hide behind in case of flying debris.
Power supplies and mobile phone services were expected to be cut for thousands of people.
The timing of Yasi’s expected landfall, just after high tide, meant high storm surges of at least 6.5 feet were likely to flood significant areas along the coast, the weather bureau said.


The worst winds were expected to last up to four hours, though windy conditions and heavy rain could last for 24 hours. The storm was expected to carry cyclone-force winds up to 250 miles inland.
Yasi is due to hit further north than the flood-stricken area, but emergency services are already stretched and the whole state is flood-weary.
Australia’s huge, sparsely populated tropical north is battered each year by about six cyclones – called typhoons throughout much of Asia and hurricanes in the Western hemisphere.
Building codes that have been strengthened since Cyclone Tracy devastated the city of Darwin in 1974, killing 71 people, in one of Australia’s worst natural disasters.
The storm will whip over part of the Great Barrier Reef, which stretches 1,600miles along Queensland’s coast.
The reef’s park authority said in a statement it was too early to predict what the impact would be on the world’s largest living organism.
RICHARD SHEARS: Into the eye of the storm
The Daily Mail’s man is in Townsville, Queensand, to witness Yasi first hand. He recounts his terrifying journey to the heart of the cylone’s path.
I experienced the terror of being caught in the path of the approaching monstrous storm when I found myself alone on a 250-mile stretch of coastal road running north from the town of Mackay – where the closest aircraft could land before the airport was closed – just two hours before the eye of the cyclone was due to pass over the coastline.
I had set out because I knew that many British families were concerned about loved ones trapped in the cyclone region and it was my duty to report the cyclone’s power on the spot.
It was the most terrifying drive I had been on, as trees crashed down in the darkness before me and broken branches were hurled against the side of my car like missiles.
I saw roofs being torn from caravans in a camping area and in one astonishing scene a large cow was bowled over by the force of the wind.

Torrential rain send flood waters across the highway, with weather forecasters predicting that as much as 3ft of rain would fall – and there was the added danger of a huge tidal surge, bringing sea water over the land to a depth of 12ft.
Dire warnings have been given to everyone to stay indoors and head for the smallest room in their homes with mattresses and pillows for protection.
The lobby of my hotel in Townsville has become an evacuation centre for families with young children and babies, most of whom were expecting to spend the next two or three nights sleeping on the floor.
Towns along the north Queensland coast have lost their power and emergency services have warned that after the cyclone has passed on Thursday the destruction it has left will break many hearts.
‘I’ve got two young kids and they’re just terrified,’ said Mrs Joyce Williams, 33, one of the dozens crowded into the Townsville evacuation centre. ‘And so am I. How safe are we, even though we are behind concrete walls?’
They have all been provided with free food but they have been warned the power could go off at any moment – and stay off for several days.
Queensland Premier Anna Bligh – a hero of the recent flood disaster that struck the state – warned of a ‘catastrophic failure of essential services’.
This meant that not only power lines would be down but also mobile phone towers.
Added to fears are warnings of a second storm surge today (Thurs) after a huge rise in the tide was expected during the night, with sea water expected to flood city streets along the coast.
As I look out of my window – having been warned not to step outside unless I want to be swept away by the wind – I see nothing but dense rain, so dense it hides the other side of the street.
But having driven into Townsville after my terrifying drive I know there is nothing out there to see but bad weather. There is not a vehicle in sight, owners having been warned that to leave cars on the streets could mean they will be severely damaged by flying debris.

The power of the wind – the scream of the wind – is terrifying and I have been warned by the hotel management that I will not be able to remain in my room in case the windows blow in.
I will be moved, with the rest of the hotel guests and the evacuated families, to a cellar during the night.
Added to the eeriness of the fearful wait for the cyclone to strike is the sound of cyclone warning sirens echoing through city streets.
While I have written of tsunamis and cyclones in the past, it has always been in the aftermath of the disaster. This is the first time I have lived through a cyclone and it is a terrifying experience.
On top of everyone’s fears is the knowledge that this is the most severe weather pattern to strike Australia in living memory – just how severe will be seen at dawn after the eye of the cyclone has passed and moved inland.
How Yasi would translate across the globe
The cyclone bearing down on Australia and threatening to bring another wave of devastation to the country is so enormous that it would almost cover the United States.
Extraordinary images produced by news.com to show the scale of Tropical Cyclone Yasi reveal how it would put entire continents at risk.
Instead of comparing it to previous cyclones, the site has taken the satellite pictures of Yasi and place it over different continents to show its incredible size.



The cyclone’s main area is 500km wide and the wider activity emanating from this stretches to more than 2000km.
When placed above the US, Yasi reaches from east to west from Pennsylvania to Nevada and north to south from Georgian to Canada.
Elsewhere, it would cover Japan, North and South Korea and China as well as south-east Asia, India and the Himalayas.
Moved over Europe, Britain, France and Germany would all be devastated.
The eye of the storm alone is 35km wide – an area that would cover New Orleans and the surrounding state or Shanghai.


RELATED ARTICLES
- Australia's Victoria Regime Proposes Extending Emergency for Another Year
- Australia to Seize Savings, Homes, Driver's Licenses of People with unpaid COVID Fines
- Australia Warns Grandparents: 'Do NOT Go Anywhere Near Your Grandkids'
- Satanists cheer as Pentagram joins Recognized as 'Faith Symbol' in Australian Hospital
- Australian MP calls on Trump to pardon Assange before leaving White House











I am praying for our kinspeople in Australia. YAH keep them safe.
The article states that the winds are up to 186 MPH. Can this be right. 186 MPH? Maybe that should read KPH instead?